Petit sur écorce

Rubrique pour apprendre en s'amusant. On poste des photos de champignons déjà déterminés sans en donner le nom...
16 messages Page 1 sur 2

Jean Pierre

Avatar du membre
Messages : 7369
Enregistré le : 21 sept. 2011, 10:40
Nom : Jean Pierre Raverat
Association : Association Mycologique Féréopontaine
Localisation : Seine Port (77)
Site Internet

Message par Jean Pierre »
Bonjour.
Récolté le 1/01/2019 sur une bûche dans mon jardin.
Fichiers joints
P1015668 (1024x676).jpg
Modifié en dernier par Jean Pierre le 13 févr. 2019, 10:53, modifié 1 fois.
Jean Pierre Raverat.
http://www.champignons77.org/

Y.Courtieu

Avatar du membre
Messages : 36583
Enregistré le : 28 oct. 2012, 18:14
Localisation : Haute-Savoie
Site Internet

Message par Y.Courtieu »
Sporée blanche et chair un peu aqueuse ?
Yves
UN CORPS FROID NE PEUT PAS CHAUFFER UN CORPS CHAUD

Une Science qui baillonne ses contradicteurs ne mérite pas le nom de science.

Jean Pierre

Avatar du membre
Messages : 7369
Enregistré le : 21 sept. 2011, 10:40
Nom : Jean Pierre Raverat
Association : Association Mycologique Féréopontaine
Localisation : Seine Port (77)
Site Internet

Message par Jean Pierre »
Y.Courtieu a écrit :
Sporée blanche et chair un peu aqueuse ?
Sporée blanche.
Chair aqueuse comme la plupart des champignons.
Jean Pierre Raverat.
http://www.champignons77.org/

Y.Courtieu

Avatar du membre
Messages : 36583
Enregistré le : 28 oct. 2012, 18:14
Localisation : Haute-Savoie
Site Internet

Message par Y.Courtieu »
Jean Pierre a écrit :
Y.Courtieu a écrit :
chair un peu aqueuse ?
Chair aqueuse comme la plupart des champignons.
La silhouette étant mycénoïde, cette question avait pour but de séparer entre les genres Mycena et Hydropus.
Le Courtecuisse indique en effet une chair plus particulèrement aqueuse chez les espèces du genre Hydropus :clindoeil:
Y a-t-il des cystides fusoïdes ?
Yves
UN CORPS FROID NE PEUT PAS CHAUFFER UN CORPS CHAUD

Une Science qui baillonne ses contradicteurs ne mérite pas le nom de science.

NSchwab

Avatar du membre
Messages : 3401
Enregistré le : 08 sept. 2017, 17:24
Nom : Nicolas Schwab
Associations : Société Mycologique de Tramelan - Société Mycologique des Montagnes Neuchâteloises
Localisation : Renan, BE (Suisse)
Site Internet

Message par NSchwab »
Je me dirigerais personnellement vers le genre Phloeomana. En vue de la saison, Phloeomana hiemalis.
Mycologue intégriste radicalisé.

Jean Pierre

Avatar du membre
Messages : 7369
Enregistré le : 21 sept. 2011, 10:40
Nom : Jean Pierre Raverat
Association : Association Mycologique Féréopontaine
Localisation : Seine Port (77)
Site Internet

Message par Jean Pierre »
Y.Courtieu a écrit :
Y a-t-il des cystides fusoïdes ?
Pas vraiment.
Fichiers joints
Capture_2 (1024x768).jpg
Cheilocystides (1024x768).jpg
Jean Pierre Raverat.
http://www.champignons77.org/

NSchwab

Avatar du membre
Messages : 3401
Enregistré le : 08 sept. 2017, 17:24
Nom : Nicolas Schwab
Associations : Société Mycologique de Tramelan - Société Mycologique des Montagnes Neuchâteloises
Localisation : Renan, BE (Suisse)
Site Internet

Message par NSchwab »
Je ne sais pas si mon message est passé inaperçu, mais les cystides semblent confirmé mon présage.
Mycologue intégriste radicalisé.

Jean Pierre

Avatar du membre
Messages : 7369
Enregistré le : 21 sept. 2011, 10:40
Nom : Jean Pierre Raverat
Association : Association Mycologique Féréopontaine
Localisation : Seine Port (77)
Site Internet

Message par Jean Pierre »
NSchwab a écrit :
Je me dirigerais personnellement vers le genre Phloeomana. En vue de la saison, Phloeomana hiemalis.
C'est bien le bon genre, mais je n'ai opté pour cette espèce (peut-être à tort) en raison de la taille des spores (6,6-7,5 x 4-4,8).
Jean Pierre Raverat.
http://www.champignons77.org/

Y.Courtieu

Avatar du membre
Messages : 36583
Enregistré le : 28 oct. 2012, 18:14
Localisation : Haute-Savoie
Site Internet

Message par Y.Courtieu »
Les lames sont décurrentes ?
Yves
UN CORPS FROID NE PEUT PAS CHAUFFER UN CORPS CHAUD

Une Science qui baillonne ses contradicteurs ne mérite pas le nom de science.

Jean Pierre

Avatar du membre
Messages : 7369
Enregistré le : 21 sept. 2011, 10:40
Nom : Jean Pierre Raverat
Association : Association Mycologique Féréopontaine
Localisation : Seine Port (77)
Site Internet

Message par Jean Pierre »
Y.Courtieu a écrit :
Les lames sont décurrentes ?
Non,
Fichiers joints
P1015672 (1024x768).jpg
Jean Pierre Raverat.
http://www.champignons77.org/

Y.Courtieu

Avatar du membre
Messages : 36583
Enregistré le : 28 oct. 2012, 18:14
Localisation : Haute-Savoie
Site Internet

Message par Y.Courtieu »
Je ne vois plus guère que Mycena olida ?
Yves
UN CORPS FROID NE PEUT PAS CHAUFFER UN CORPS CHAUD

Une Science qui baillonne ses contradicteurs ne mérite pas le nom de science.

Jean Pierre

Avatar du membre
Messages : 7369
Enregistré le : 21 sept. 2011, 10:40
Nom : Jean Pierre Raverat
Association : Association Mycologique Féréopontaine
Localisation : Seine Port (77)
Site Internet

Message par Jean Pierre »
Y.Courtieu a écrit :
Je ne vois plus guère que Mycena olida ?
C'est bien à lui que je pensais.
Jean Pierre Raverat.
http://www.champignons77.org/

Hervé

Avatar du membre
Messages : 1074
Enregistré le : 18 oct. 2010, 21:24
Nom : Hervé Cochard
Association : SMF
Localisation : 63
Site Internet

Message par Hervé »
Comment sont les hyphes superficielles du chapeau et les poils du stipe? Pour confirmer olida c'est important d'avoir ces infos.
voir ici: http://herve.cochard.free.fr/Mycena/Mycena%20olida.htm
Hervé
Hervé Cochard

Jean Pierre

Avatar du membre
Messages : 7369
Enregistré le : 21 sept. 2011, 10:40
Nom : Jean Pierre Raverat
Association : Association Mycologique Féréopontaine
Localisation : Seine Port (77)
Site Internet

Message par Jean Pierre »
Hervé a écrit :
Comment sont les hyphes superficielles du chapeau et les poils du stipe? Pour confirmer olida c'est important d'avoir ces infos.
voir ici: http://herve.cochard.free.fr/Mycena/Mycena%20olida.htm
Hervé
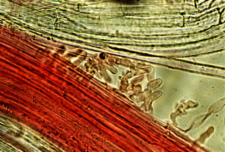
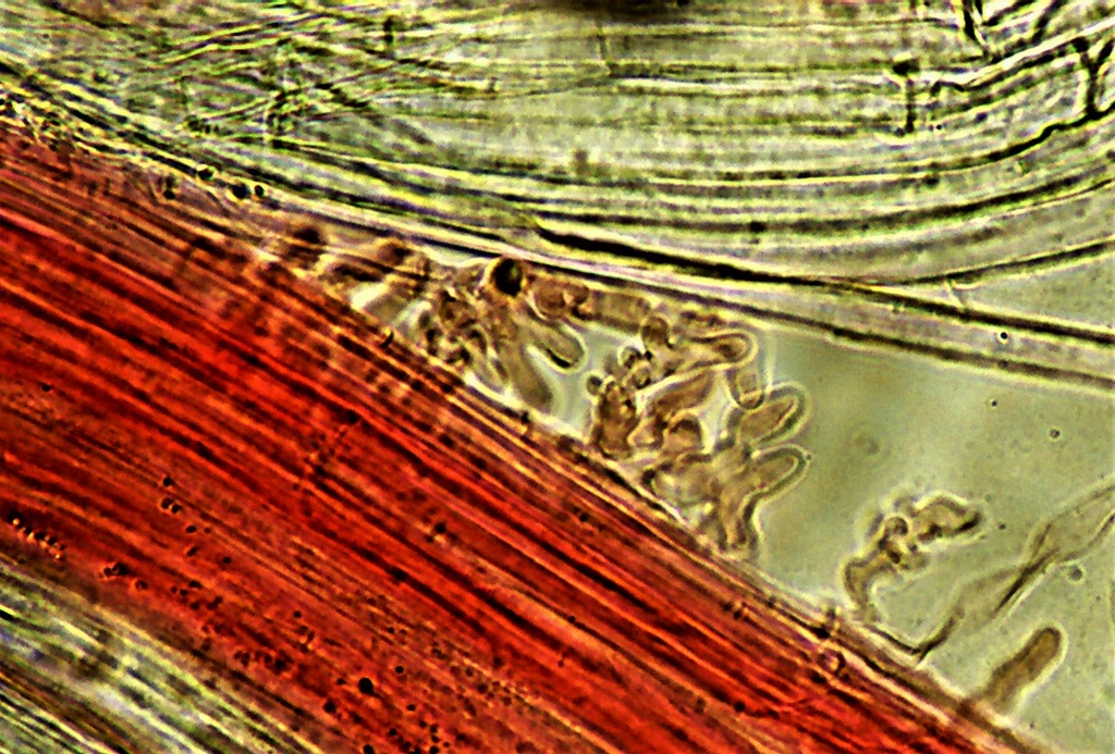
Le chapeau mesurait 3 à 4 mm, donc j'ai été incapable de faire un prélèvement de cuticule.
Ci- joint la micro des caulos.
PS ; Peux-tu jeter un oeil sur cette autre mycène (si c'en est bien une) forums/viewtopic.php?t=20151&f=1&start=0#p186725
J'en ai encore quelques unes à montrer.
Fichiers joints
Caulocystides (1024x693).jpg
Caulos (1024x628).jpg
Jean Pierre Raverat.
http://www.champignons77.org/

Hervé

Avatar du membre
Messages : 1074
Enregistré le : 18 oct. 2010, 21:24
Nom : Hervé Cochard
Association : SMF
Localisation : 63
Site Internet

Message par Hervé »
OK, on reconnait bien ici les caulocystides typiques de cette espèce.
Son nom actuel est Phloeomana minutula je crois.
Hervé
Hervé Cochard
16 messages Page 1 sur 2